Baugrundstück in grüner Umgebung
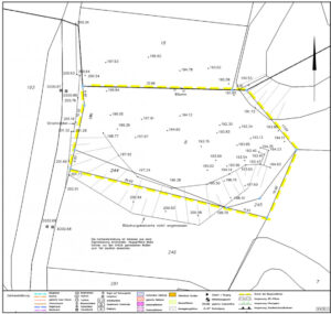
Es handelt sich um ein Baugrundstück im wunderschönen Morsbachtal in Remscheid mit einer Größe von knapp 1.100m². Das Grundstück befindet sich im Außenbereich.
Es darf zweigeschossig gebaut werden. Es gibt auch eine Baugenehmigung (nach §35 (2) BauGB), die für ein geplantes Bauvorhaben vorliegt, an der man sich gut orientieren kann.
Das Grundstück ist derzeit mit Bäumen und Sträuchern bewachsen.
Bitte fragen Sie bei uns an, und Sie erhalten auf dem digitalen Weg schnell die Adresse und alle nötigen Unterlagen, mit denen Sie sich einen Überblick verschaffen können.
Auf dem Grundstück stehen derzeit noch Reste eines vermeintlichen Carports. Auf dem Grundstück laufen 3 Quellen in ein Ablaufbecken zusammen.
Bitte fahren Sie vor weiteren Schritten einmal zum Grundstück und schauen Sie es sich vor Ort an. Danach können wir in Ruhe über alle offenen Fragen sprechen.
Grunddaten
Flächenaufstellung
Raumangebot und Ausstattung
Kaufpreis
Lage
Das Morsbachtal liegt genau im Dreieck zwischen Remscheid, Solingen und Wuppertal-Cronenberg und ist für seine grüne Umgebung bekannt.

